En Venta
LOTEO SAUCE PUEBLO, SAUCE MONTRUL
Código: 16622

Sauce Pueblo, Sauce Montrull, Entre Rios, Argentina.

Consultar Precio
Loteo
Compartir esta Propiedad

Descripción de la Propiedad

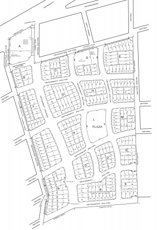
Se venden lotes en Loteo Sauce Pueblo. A solo 15’ minutos de Paraná se encuentra Sauce Pueblo, un lugar único donde predomina el verde, la armonía y la naturaleza. Sauce Pueblo es una urbanización de 16 Has, localizada en la planta urbana de Sauce Montrull, Departamento Paraná. Se destaca por su desarrollo moderno de estilo único, con infraestructura solida diseñada para crear un lugar de bienestar. Sauce Pueblo es una urbanización de 16 Has, localizada en la planta urbana de Sauce Montrull, Departamento Paraná. Se destaca por su desarrollo moderno de estilo único, con infraestructura solida diseñada para crear un lugar de bienestar. Infraestructura • Cuenta con 18 manzanas y 275 lotes desde 250 mts2. • Avenida de ingreso desde Ruta 12 con cordón cuneta y badenes. • Avenida principal de 12 mts de ancho de calzada con rotondas y amplias veredas parquizadas. • Diseño de avenidas y calles curvas en su totalidad con piedra granítica partida y cunetas verdes. • Desagües pluviales con cámaras de captación de agua de lluvia para evitar inundación de lotes.